所属成套资源:2024漳州高一下学期7月期末考试及答案(九科)
- 2024漳州高一下学期7月期末考试政治含解析 试卷 0 次下载
- 2024漳州高一下学期7月期末考试地理含解析 试卷 0 次下载
- 2024漳州高一下学期7月期末考试历史含解析 试卷 0 次下载
- 2024漳州高一下学期7月期末考试生物含解析 试卷 0 次下载
- 2024漳州高一下学期7月期末考试化学含答案 试卷 0 次下载
2024漳州高一下学期7月期末考试物理含解析
展开
这是一份2024漳州高一下学期7月期末考试物理含解析,共13页。试卷主要包含了单选题,多选题,填空题,实验题,计算题等内容,欢迎下载使用。
一、单选题:本大题共4小题,共16分。
1.物体运动轨迹如图中曲线所示,运动到 M点时受到的合外力F方向可能是( )
A. B.
C. D.
2.消防员驾驶小船救援被困于礁石上的人员,如图所示, A、B为河岸上间距适当的两个位置, B距离礁石最近。假设小船在静水中的运动速率不变,则要使小船在最短时间内抵达礁石,可行的方案是( )
A. 从A处出发,船头垂直于河岸B. 从A处出发,船头朝着礁石方向
C. 从B处出发,船头垂直于河岸D. 从B处出发,船头朝着上游方向
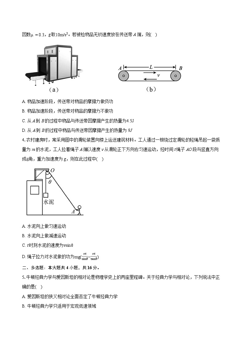
3.如图(a),安检机在工作时,通过水平传送带将被检物品从安检机一端传送到另一端,其过程可简化为如图(b)所示。已知传送带长L=2m,速度v=3m/s,质量m=1kg的被检物品(可视为质点)与传送带的动摩擦因数μ=0.3,g取10m/s2。若被检物品无初速度放在传送带A端,则( )
A. 物品加速阶段,传送带对物品的摩擦力做负功
B. 物品加速阶段,传送带对物品的摩擦力不做功
C. 从A到B的过程中物品与传送带因摩擦产生的热量为4.5J
D. 从A到B的过程中物品与传送带因摩擦产生的热量为9J
4.农村建房时,常采用图中的滑轮装置向楼上运送建筑材料。工人通过一根绕过定滑轮的轻绳吊起一袋质量为 m的水泥,工人拉着绳子 A端以速度v从滑轮正下方向右匀速运动,经时间t绳子AO段与竖直方向成θ角,重力加速度为g,则在此过程中( )
A. 水泥向上做匀速运动
B. 水泥向上做减速运动
C. t时刻水泥的速度为vsinθ
D. 绳子拉力对水泥做的功为mg(vtsinθ−vttanθ)
二、多选题:本大题共4小题,共16分。
5.牛顿经典力学与爱因斯坦的相对论是物理学史上的两座里程碑。关于经典力学与相对论,下列说法中正确的是( )
A. 爱因斯坦的狭义相对论全面否定了牛顿经典力学
B. 牛顿经典力学只适用于宏观低速领域
C. 在一切惯性系中,真空中测得的光速都一样
D. 在地面上观察,接近光速飞行的飞船在运动方向上会变长
6.华为发布的某新款手机具有卫星通话功能,是利用“天通一号”系列同步卫星进行信号中转的。如图所示,“天通一号”卫星发射时,先进入近地圆轨道,然后从近地点 P变轨至椭圆轨道运行,再从椭圆轨道远地点Q变轨至圆形同步轨道,则卫星( )
A. 在同步轨道上运行时可能经过漳州正上方
B. 在同步轨道运行的线速度小于7.9km/s
C. 在椭圆轨道上运行时,经过P点时的线速度小于经过Q点时的线速度
D. 在椭圆轨道上经过Q点时的线速度小于在同步轨道上经过Q点时的线速度
7.2024年4月中国女排第50次回漳州“娘家”集训,如图是某运动员将排球从 M点水平击出,排球飞到P点时,被对方运动员击回,球又斜向上飞出后落到M点正下方的N点, N点与P点等高,两轨迹的最高点 Q与M等高,不计空气阻力,则排球( )
A. 经过Q点时,重力的瞬时功率为零B. 从P到N的过程机械能先减小后增大
C. 离开M点的速率比经过Q点的速率大D. 从M到P与从P到N所用时间相等
8.近年我国新能源汽车行业得到了长足的进步。某品牌的小型电动汽车进行测试,在平直的公路上由静止起动,前8s内做匀加速直线运动,8s末达到额定功率,之后保持额定功率运动,18 s末恰好达到最大速度10m/s,其v−t图像如图所示。设汽车质量为200kg,额定功率为8000W,运动过程中阻力不变,则( )
A. 汽车受到的阻力为800NB. 汽车在匀加速阶段的牵引力为800N
C. 加速过程中汽车牵引力做的功为8×104JD. 在8s∼18s内汽车位移大小为95.5m
三、填空题:本大题共2小题,共8分。
9.如图甲是医用体温计甩降器,图乙是其简图,管口离转轴比管底离转轴近,把用过的体温计放入甩降器管中,利用甩降器的转动将水银柱甩回玻璃泡内,则体温计放入甩降器管中时,体温计玻璃泡的一端应放在__________(填“管口处”或“管底处”),该装置设计的原理是利用__________现象。
10.如图是一种古老的舂米机,舂米时,稻谷放在石臼 A中,横梁可以绕O转动,在横梁前端B处固定一舂米锤,脚踏在横梁另一端C处踏板上往下压时,舂米锤便向上抬起,然后提起脚,舂米锤就向下运动,击打 A中的稻谷,使稻谷的壳脱落。已知OB”“=”或“
相关试卷
这是一份福建省漳州市2023-2024学年高一下学期7月期末考试物理试卷(Word版附解析),共13页。试卷主要包含了单选题,多选题,填空题,实验题,计算题等内容,欢迎下载使用。
这是一份2024东营高一下学期期末考试物理含解析,共26页。试卷主要包含了 静电场的电场线如图中实线所示等内容,欢迎下载使用。
这是一份2024桂林高一下学期期末考试物理含解析,共22页。试卷主要包含了直接在答题卷上答题等内容,欢迎下载使用。

